Property
Ownership: | For Sale |
---|---|
Type: | mixed-use |
Pets: | Pets No |
Financials
Listing Courtesy of Fedun Real Estate Inc
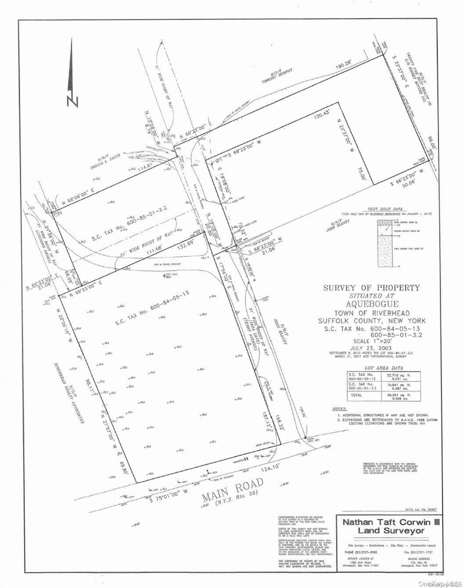
DescriptionCommercial PROPERTY for Sale or LAND LEASE. Partially Cleared Lot(s). CRC Zoning. Ideal for BANKS, RESTAURANTS, OFFICES and More! Shy One Acre.***HIGH Traffic!*** @ Rt 25 and Rt 58 Hub! 2 Tax lots total shy One Acre. Owner/Broker. SCTM IDs: 0600-084.00-05.00-013.000 (0.521 Acres) PLUS 0600-085.00-01.00-003.002 (0.387) Acres, Additional information: Business Located At:No Current Lease in Place
Commercial PROPERTY for Sale or LAND LEASE. Partially Cleared Lot(s). CRC Zoning. Ideal for BANKS, RESTAURANTS, OFFICES and More! Shy One Acre.***HIGH Traffic!*** @ Rt 25 and Rt 58 Hub! 2 Tax lots total shy One Acre. Owner/Broker. SCTM IDs: 0600-084.00-05.00-013.000 (0.521 Acres) PLUS 0600-085.00-01.00-003.002 (0.387) Acres, Additional information: Business Located At:No Current Lease in Place
Commercial PROPERTY for Sale or LAND LEASE.
DescriptionCommercial PROPERTY for Sale or LAND LEASE. Partially Cleared Lot(s). CRC Zoning. Ideal for BANKS, RESTAURANTS, OFFICES and More! Shy One Acre.***HIGH Traffic!*** @ Rt 25 and Rt 58 Hub! 2 Tax lots total shy One Acre. Owner/Broker. SCTM IDs: 0600-084.00-05.00-013.000 (0.521 Acres) PLUS 0600-085.00-01.00-003.002 (0.387) Acres, Additional information: Business Located At:No Current Lease in Place
Commercial PROPERTY for Sale or LAND LEASE. Partially Cleared Lot(s). CRC Zoning. Ideal for BANKS, RESTAURANTS, OFFICES and More! Shy One Acre.***HIGH Traffic!*** @ Rt 25 and Rt 58 Hub! 2 Tax lots total shy One Acre. Owner/Broker. SCTM IDs: 0600-084.00-05.00-013.000 (0.521 Acres) PLUS 0600-085.00-01.00-003.002 (0.387) Acres, Additional information: Business Located At:No Current Lease in Place

All information furnished regarding property for sale, rental or financing is from sources deemed reliable, but no warranty or representation is made as to the accuracy thereof and same is submitted subject to errors, omissions, change of price, rental or other conditions, prior sale, lease or financing or withdrawal without notice. International currency conversions where shown are estimates based on recent exchange rates and are not official asking prices.
All dimensions are approximate. For exact dimensions, you must hire your own architect or engineer.