Property
| Ownership: | For Sale |
|---|---|
| Type: | Unknown |
| Pets: | No Pets Allowed |
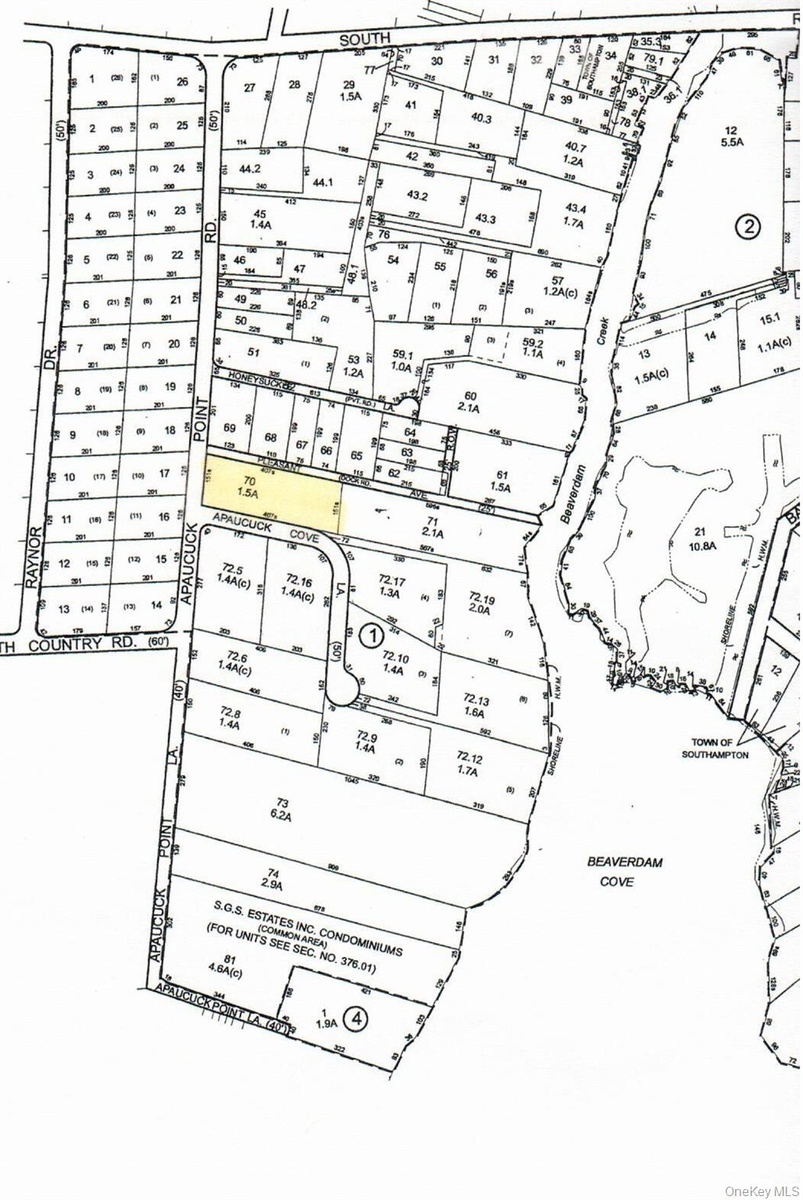
| Lot Size: | 1.50 Acres |
Financials
Listing Courtesy of William Raveis New York LLC
Set on 1. 5 acres between South Road and South Country Road in Westhampton, this exceptional property offers the perfect canvas to design and build your dream home.
Description
Set on 1.5 acres between South Road and South Country Road in Westhampton, this exceptional property offers the perfect canvas to design and build your dream home. This land is located in a quiet, peaceful neighborhood with close proximity to Beaver Dam Creek. The existing structure on the property is being sold "as is". Ideally situated less than two miles from the heart of Westhampton Beach Village, enjoy convenient access to Main Street's shops, restaurants, the Performing Arts Center with access to Rogers Beach or Dune Road beaches. A truly unique opportunity to create a custom Hamptons retreat in a premier location.
Amenities
- Electricity Available

All information furnished regarding property for sale, rental or financing is from sources deemed reliable, but no warranty or representation is made as to the accuracy thereof and same is submitted subject to errors, omissions, change of price, rental or other conditions, prior sale, lease or financing or withdrawal without notice. International currency conversions where shown are estimates based on recent exchange rates and are not official asking prices.
All dimensions are approximate. For exact dimensions, you must hire your own architect or engineer.