Blue Mountains N0H 2P0
Canada

Property

Ownership: For Sale
Type: Unknown
Pets: No Pets Allowed

Financials

Price:C15,200,000
($11,074,700)
(€9,649,200)
Annual Taxes:C5,640
505 Park Ave, New York, NY 10022

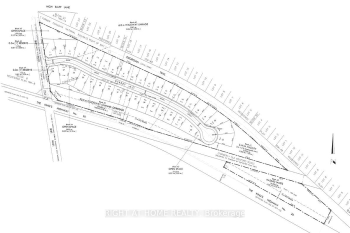
Draft Plan Approved 17. 5 Acre Residential Subdivision in Thornbury.

Description

Draft Plan Approved 17.5 Acre Residential Subdivision in Thornbury. 38 Single Detached Lots. N/E Corner of Hwy 26 and 10th Line. Lot frontages Ranging From 70 to 75 Feet. Lot Depths Ranging From 110 to 135 Feet. Close to Golf Courses, Ski Hills, Marina, Waterfront, Georgian Trail System, Retail Shops and Restaurants.

All information furnished regarding property for sale, rental or financing is from sources deemed reliable, but no warranty or representation is made as to the accuracy thereof and same is submitted subject to errors, omissions, change of price, rental or other conditions, prior sale, lease or financing or withdrawal without notice. International currency conversions where shown are estimates based on recent exchange rates and are not official asking prices.

All dimensions are approximate. For exact dimensions, you must hire your own architect or engineer.