Brampton L6X 1L7
Canada

Property

Ownership: For Sale
Type: Unknown
Bedrooms: 3 BR
Bathrooms: 2

Financials

Price:C709,000
($518,300)
(€443,500)
Annual Taxes:C4,742
505 Park Ave, New York, NY 10022

move in ready, new paint on main floor ; Large shed and separate workshop, Basement windows above grade.

Description

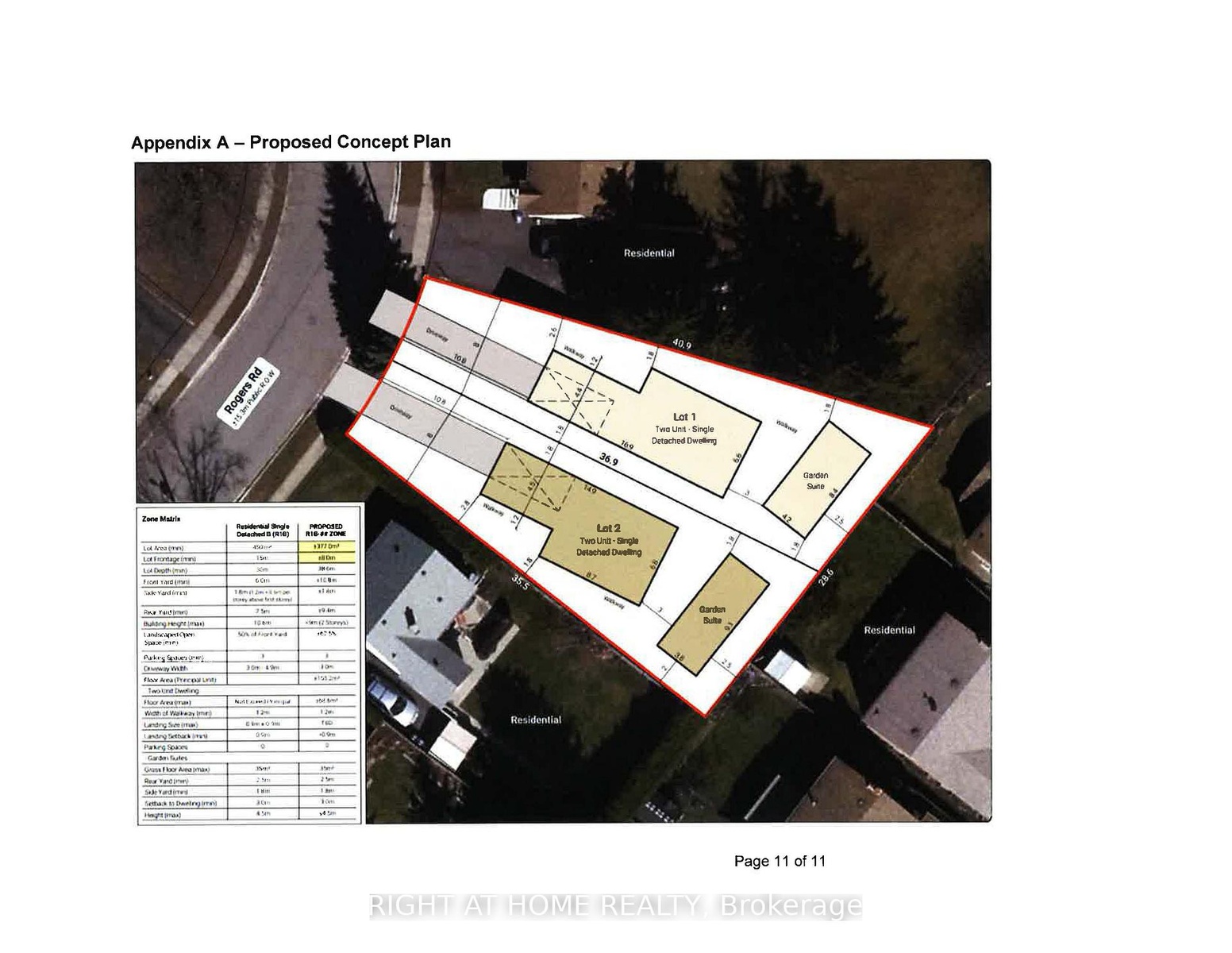
move-in ready, new paint on main floor; Large shed and separate workshop, Basement windows above grade. Sold Under Power Of Sale Therefore As Is/Where Is Without Any Warranties From The Seller. However - attention builders and contractors - this is a large lot, potential for severance (severance process started already, which has been approved with a possibility of building two homes with garden suites for additional rental income - see attached proposal for severance in one of the pictures. Or... continue using it AS IS (single family home on a large lot with big mature trees). NOTE: basement has a separate hydro meter

All information furnished regarding property for sale, rental or financing is from sources deemed reliable, but no warranty or representation is made as to the accuracy thereof and same is submitted subject to errors, omissions, change of price, rental or other conditions, prior sale, lease or financing or withdrawal without notice. International currency conversions where shown are estimates based on recent exchange rates and are not official asking prices.

All dimensions are approximate. For exact dimensions, you must hire your own architect or engineer.